TAKE NOTICE that the Council of The Corporation of the Township of Champlain received a complete application and will hold a Public Meeting on August 11, 2022 at 7:00 p.m., at the Township Office, 948 Pleasant Corner Road East, to consider a proposed amendment to the Zoning By-law No. 2000-75 of the Township of Champlain under Section 34 of the Planning Act, R.S.O. 1990, as amended.
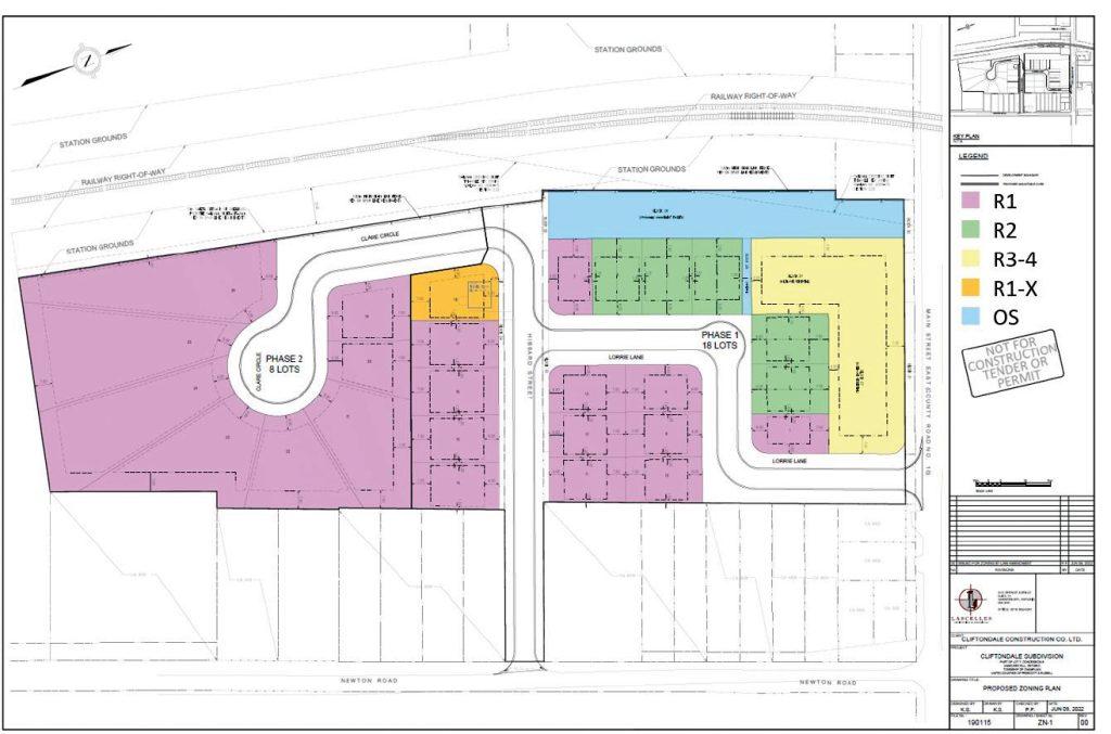
THE PURPOSE AND EFFECT OF THE ZONING BY-LAW AMENDMENT is to rezone the lots and blocks that make up the Cliftondale Subdivision (legally described as; PLAN 35 LOTS 40 TO 49 AND;LOTS 50 TO 71 PT VICTORIA ST;PT STERLING ST AND RP;46R7095 PARTS 3 AND 6, and, PLAN 35 PT VICTORIA ST PT;STERLING ST RP 46R7095 PARTS;1 2 4 5 AND 7, and, PLAN 35 LOTS 40 TO 49 AND;LOTS 50 TO 71 PT VICTORIA ST;PT STERLING ST AND RP;46R7095 PARTS 3 AND 6, and, W HAWKESBURY CON 6 PT LOT 7;PLAN 35 LOTS 99 TO 105 PT;LOT 115 S MILL ST RP 46R7007;PT PART 1, Vankleek Hill). The proposed zoning amendment is to rezone the subject lands from R1 and R3-4 to R1, R1-Special Exception, R2, R3-4 and OS to permit the construction of 20 single detached dwellings, 10 semi detached dwelling units, a multi-unit residential block and a block for stormwater management. Furthermore, the rezoning will capture the existing dwelling located at 106 Hibbard Street and zone it according to the new lot fabric proposed by the Draft Plan of Subdivision. This Zoning By-law Amendment is a draft plan condition of the Cliftondale Subdivision (file number: 050-S-09-004).

FOR MORE INFORMATION about this matter, including information about appeal rights, contact Marc Rivet, Consultant Planner with the Township of Champlain during regular office hours. He can be reached by email at [email protected] or by phone at 613-867-8528.
Dated at the Township of Champlain this 13th day of July 2022.
Alison Collard, Clerk
Township of Champlain
948 Pleasant Corner Road East
Vankleek Hill ON K0B 1R0
